距2019年一级注册消防工程师考试还有

联系我们

电话:400 128 1119
地址:北京市通州区新华东街116号

答疑解惑当前位置:首页 > 答疑解惑

一道题学会泄压面积计算

 
作者:玲珑 发表时间:2019-02-28
 

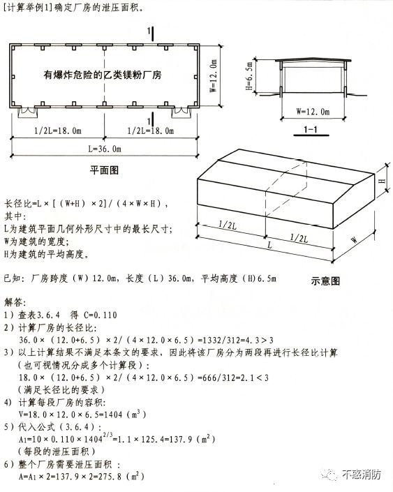
《建筑设计防火规范》(GB50016-2014)(2018年版)3.6.4 厂房的泄压面积宜按下式计算,但当厂房的长径比大于3时,宜将建筑划分为长径比不大于3的多个计算段,各计算段中的公共截面不得作为泄压面积。

建筑防爆泄压面积计算公式 不惑教育

上式中:A——泄压面积(m2);
             V——厂房的容积(m3);
             C——泄压比,可按表3.6.4选取(㎡/m³)。

注:长径比为建筑平面几何外形尺寸中的最长尺寸与其横截面周长的积和4.0倍的建筑横截面积之比。

建筑防爆 长径比计算公式 不惑消防

建筑防爆 长径比示意图 不惑教育

从往年考试来看 ,一般会给出表格或直接给出泄压比C的取值。

建筑防爆 厂房泄压面积计算例题 不惑教育

特别注意:
    1、V指厂房容积,这里容易被当做面积计算。
    2、分段以后,需要重点核对平面几何最长尺寸,如果有改变,L、W会发生变化,计算结果不一样。
    3、幂计算需要使用考试专用计算器,掌握计算方法,平时多练习几次。

    4、分段计算,各计算段中的公共截面不得作为泄压面积。


不惑教育